6 jaarLeeftijd
€ 500Prijs

Pomsky dekreu ter beschikking

Kruising
5 jaar
Kruising6 jaar
€ 500

Beschrijving

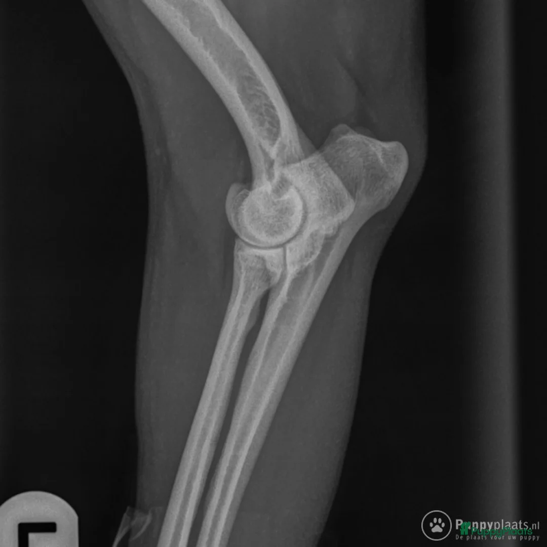
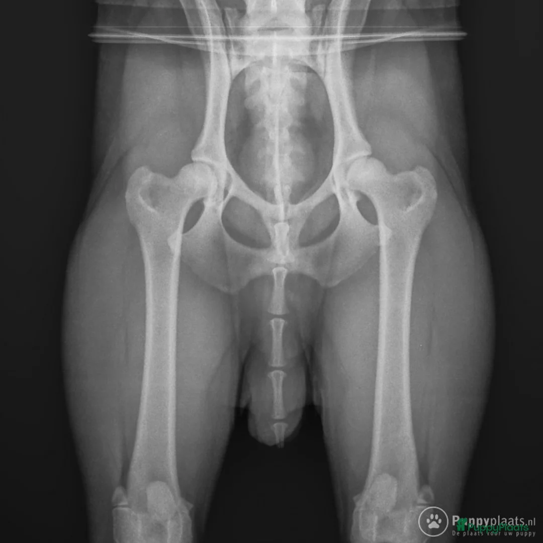
Kibo is een f1 pomsky met EPR stamboom en hij heeft in oktober 2018 een dekreu keuring gehad, ook is kibo bewezen vruchtbaar en getest op gezondheidsproblemen en alles is in orde.(zie fotos) Tevens verwachten we dat de betreffende teef ook getest is op complicaties en willen we daar bewijs van zien. Hij is geboren in september 2017 en heeft een schofthoogte van 47 centimeter, verder heeft hij van binnen en buiten kenmerken van de (mid/langharige) husky, zijn karakter is speels, nieuwsgierig en hij behoort tot de categorie allermans vriend. Hij is uiteraard niet te koop! Bij interesse of vragen graag mailen! Mvg. Dion
Adv. ID:230098678

Nestgegevens

Adv. LocatieValkenburg
RasKruising
Leeftijd6 jaar, 10 maanden
BeschikbaarNu beschikbaar

Gezondheid & Docs

Info

Aantal keer bekeken2557
Favorieten3
Type adv.Ter dekking
4 dagen
Lid sinds2022

Soortgelijke advertenties

4 dagen
Lid sinds2022